Latest forecast of rain and cold air in March

NHÓM PV |

According to the meteorological agency, cold air in March often tends to shift to winter, causing drizzle and humid rain.

NHÓM PV
RELATED NEWS

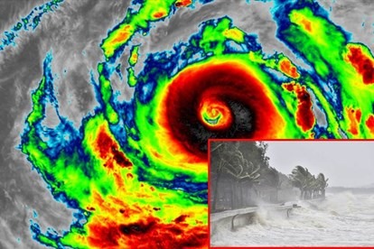
Forecast of storms and rainfall trends in 2025

|

According to the meteorological agency, the forecast for the number of storms/tropical depressions in the East Sea in 2025 is approximately the same as the average of many years.

Forecast of cold air developments in the next 2 months

|

The meteorological agency said that the cold air is forecast to gradually weaken from April 2025.

Weather today 1.3: Southern region forecast to have hot weather

|

Weather today 1.3, the North has fog in the morning, sunny in the afternoon. The South will have sunny days, some places will be hot; showers in some places in the late afternoon and night.

Senior Lieutenant General Le Duc Thai becomes Secretary of Thanh Hoa Provincial Party Committee

|

Thanh Hoa - Senior Lieutenant General Le Duc Thai, Deputy Minister of National Defense, was transferred by the Politburo to hold the position of Secretary of Thanh Hoa Provincial Party Committee.

Mr. Nguyen Manh Quyen elected Chairman of Hung Yen Provincial People's Committee

|

Hung Yen - The first session of the 18th Hung Yen Provincial People's Council elected the Chairman of the People's Council, the Chairman of the Provincial People's Committee and consolidated the leadership apparatus for the 2026-2031 term.

Ms. Bui Thi Minh Hoai re-elected as Secretary of the Party Committee of the Fatherland Front and Central Agencies

|

Politburo Member, Secretary of the Party Central Committee, Chairman of the Central Committee of the Vietnam Fatherland Front Bui Thi Minh Hoai was re-elected as Secretary of the Party Committee of the Vietnam Fatherland Front and central mass organizations.

Iran warns US to soon regret blockading the Strait of Hormuz

|

Iran warns that no ports in the Persian Gulf and the Oman Sea will be safe if the US blockades the Strait of Hormuz.

Key road in Dong Nai to be expanded to 10 lanes to eliminate congestion

|

Dong Nai - Bui Van Hoa road, 5.56 km long from Tam Hiep underpass to Vo Nguyen Giap road, will be upgraded and expanded with a scale of 10 lanes.

Forecast of storms and rainfall trends in 2025

NHÓM PV |

According to the meteorological agency, the forecast for the number of storms/tropical depressions in the East Sea in 2025 is approximately the same as the average of many years.

Forecast of cold air developments in the next 2 months

AN AN |

The meteorological agency said that the cold air is forecast to gradually weaken from April 2025.

Weather today 1.3: Southern region forecast to have hot weather

NHÓM PV |

Weather today 1.3, the North has fog in the morning, sunny in the afternoon. The South will have sunny days, some places will be hot; showers in some places in the late afternoon and night.