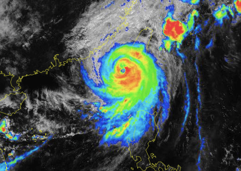
Latest update from the National Center for Hydro-Meteorological Forecasting, at 2:00 p.m. on October 2, the center of the storm was located at about 21.9 degrees north latitude; 119.4 degrees east longitude, in the northeastern sea of the North East Sea area.
The strongest wind near the storm center is level 14 - 15 (150 - 183 km/h), gusting over level 17; moving in a north-northeast direction, speed 5 - 10 km/h.
According to current forecasts, the storm is unlikely to affect coastal waters and mainland Vietnam.
In the next 24 hours, storm No. 5 is forecast to move northeast at a speed of about 10km/h and gradually weaken. At 1:00 p.m. on October 3, the center of the storm was at about 23.5 degrees north latitude - 120.8 degrees east longitude; in the southern area of Taiwan (China).
The strongest wind near the storm center is level 11 - 12, gusting to level 15.
It is forecasted that in the next 48 hours, storm No. 5 will move northeast, at a speed of about 5 - 10 km/h, and gradually weaken into a tropical depression. At 13:00 on October 4, the center of the tropical depression will be at about 24.6 degrees north latitude - 121.5 degrees east longitude; in the area north of Taiwan Island (China).
The strongest wind near the center of the tropical depression is level 7, gusting to level 9.

It is forecasted that in the next 72 hours, the tropical depression will move northward at a speed of about 5km/h and weaken into a low pressure area. At 13:00 on October 5, the center of the low pressure area will be at about 25.7 degrees north latitude - 121.7 degrees east longitude; in the sea north of Taiwan (China).
The strongest wind near the center of the low pressure area is below level 6.
Regarding the impact of the storm, the northeastern sea area of the North East Sea (north of latitude 19.5; east of longitude 117.5) has strong winds of level 9 - 11, near the storm center level 13 - 15, gusts above level 17, waves 8 - 10m high; rough seas.
Ships operating in the above mentioned dangerous areas are affected by storms, whirlwinds, strong winds and big waves.