According to the latest storm report, Typhoon Shanshan made landfall in Satsumasendai City at around 8:00 a.m. on August 29. As of 10:00 a.m., the storm was moving north-northeast of Minamata City in Kumamoto Prefecture at a speed of 15 km/h.
Due to the impact of typhoon No. 10 of this year's typhoon season in Japan, some areas recorded more than 700 mm of rain in just over 48 hours.
Typhoon forecasters noted that Typhoon Shanshan could bring winds strong enough to collapse some homes.
According to the latest storm bulletin of the Joint Typhoon Warning Center (JTWC) of the US Air Force and Navy, Typhoon Shanshan had winds of up to 156 km/h in the early morning of August 29, equivalent to a Category 2 hurricane in the Atlantic.
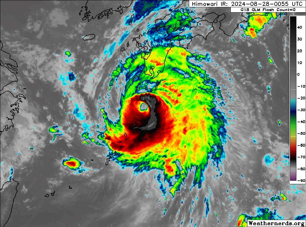
Throughout August 27 and 28, Typhoon Shanshan moved slowly across the Amami Islands in southern Japan before heading north toward Kyushu. Due to its slow speed, the powerful storm brought heavy rain for several hours to many areas along its path.
On August 28, Japanese authorities issued a rare emergency warning - a level 5 warning - for Typhoon Shanshan in Kagoshima Prefecture. According to the Japan Meteorological Agency, this is the highest level warning in Japan, usually issued only once every few decades in a certain area, and this warning indicates the risk of a large-scale disaster.
In its midday storm bulletin on August 29, the Japan Meteorological Agency downgraded the storm and high wave emergency warning from the highest warning level to a lower warning level in Kagoshima, but residents were still advised to prepare for strong winds, heavy rains and landslides.

According to the latest storm news from Reuters, the Japanese region recorded heavy rain and very strong winds when Typhoon Shanshan made landfall in Kagoshima Prefecture.
Typhoon Shanshan was classified as a severe typhoon by the Japan Meteorological Agency , with wind gusts of up to 216 km/h. Officials warned it could be one of the strongest storms to hit the region. Authorities ordered millions of residents in several prefectures to evacuate.
Due to Typhoon Shanshan, 1 person missing and 39 injured were reported in Kagoshima and Miyazaki prefectures.
According to Kyushu Electric Power Co, as of 9:00 a.m. on August 29, more than 250,000 households in seven provinces were without power.
Due to the latest typhoon Shanshan, major automakers including Toyota and Nissan have suspended operations on August 29 at some or all of their domestic factories.
Airlines in Japan, including ANA Holdings and Japan Airlines, have announced the cancellation of more than 600 domestic flights. Train services have been suspended in many areas of Kyushu.
After hitting Kyushu, the latest typhoon forecast from Japan's weather agency said Typhoon Shanshan would approach central and eastern regions, including the capital Tokyo, this weekend.
Typhoon Shanshan is the latest severe weather system to hit Japan following Typhoon Ampil, which also caused power outages and forced evacuations in early August.