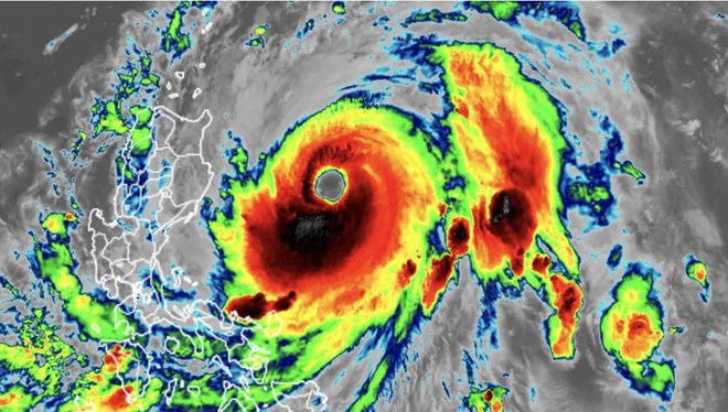
How many storms will land in Vietnam in 2024?

AN AN |

The meteorological agency predicts that this year's storm season will likely have 9-13 storms and tropical depressions in the East Sea.

Vietnam's weather is clearly influenced by ENSO activities. The National Center for Hydrometeorological Forecasting has updated its forecast of ENSO developments in the next 6 months (from July to December 2024).

Regarding the ENSO phenomenon , currently, the ENSO phenomenon is in the neutral phase. It is forecast that from July - September 2024, ENSO is likely to switch to La Nina state with a probability of 65 - 75%.

From October to December, it is forecast that the ENSO phenomenon will continue to remain in La Nina state with a probability of about 80 - 90%.

Tropical cyclone activity : From now until September, about 5-7 tropical storms/tropical depressions are likely to appear in the East Sea; Of which, about 2-3 storms landed on land.

The average number of storms/tropical depressions in many years in the East Sea during this period is from 6 to 7, with an average of about 3 storms landing in Vietnam.

From October to December, about 4-6 storms/tropical depressions are likely to appear in the East Sea; Of which, about 2-3 storms landed on land.

The average number of tropical storms/tropical depressions in many years in the East Sea during this period is from 4 to 5, with an average of about 2 storms landing in Vietnam.

The meteorological agency especially noted that in the upcoming period of the 2024 storm season, it is necessary to guard against the possibility of tropical storms/low pressure forming right in the East Sea area.

In addition, in the second half of the year, tropical storms/low pressure, southwest monsoon, and northeast monsoon are likely to cause strong winds and large waves, affecting activities in the East Sea region.

Heavy rain, thunderstorms, tornadoes, lightning, and hail can negatively affect production and daily activities of communities in affected areas.

Regarding the oceanographic situation , the period from the end of June to September is the active period of the southwest monsoon, the wave height in the area off the Central coast, in the East Sea region (including the Hoang Sa archipelago) is about 2 - 4m, rough sea.

During this period, the coastal areas of the Northern, North and Central regions need to be careful of large waves combined with storm surges and tropical depressions, with a high risk of causing riverbank and coastal erosion.

Along the Southeast coast, from the second half of June to the end of September, there is a possibility of 7 high tides. However, the water level at Vung Tau station during high tides is only below 4.1m.

Because at this time, the Southeast coastal area is not affected by the northeast monsoon, so the risk of flooding in low-lying areas and areas outside the dike is low.

For the Southwestern coastal region, from the end of July and August, it is necessary to guard against unusually high sea levels causing sea dyke erosion during high tides combined with large waves during the strong southwest monsoon. .

From October to December, coastal areas in the Northern and Central regions need to continue to guard against large waves combined with storm surges and tropical depressions.

In addition, due to the influence of the northeast monsoon, wave heights in the Gulf of Tonkin area can reach 2 - 4m, and in the waters off the Central Coast, waves range from 3 - 5m.

AN AN
RELATED NEWS

Miền Bắc tiếp tục mưa to, có nơi trên 80mm

AN AN |

Cơ quan khí tượng cho biết, hôm nay (26.6), miền Bắc vẫn tiếp tục mưa rào và dông, cục bộ có mưa to; cần đề phòng lũ trên các sông.

Mưa to ở miền Bắc sắp kết thúc, thời điểm nào nắng nóng gay gắt quay lại?

NHÓM PV |

Đại diện cơ quan khí tượng đã đưa ra nhận định nguyên nhân đợt mưa lớn những ngày gần đây ở khu vực phía bắc.

Dự báo diễn biến mưa bão từ nay đến tháng 7

AN AN |

Cơ quan khí tượng đặc biệt lưu ý diễn biến mưa diện rộng và sự xuất hiện của bão trong giai đoạn một tháng tới.

Triều Tiên cho nổ tung tuyến đường bộ nối với Hàn Quốc

Khánh Minh |

Triều Tiên cho nổ tung các tuyến đường nối với Hàn Quốc vốn từng được coi là biểu tượng của sự hợp tác liên Triều.

Thân tín của bà trùm ma túy Oanh "Hà" được trả công 15 tỉ

Việt Dũng |

Trong số hơn 626kg ma túy mua bán xuyên quốc gia do bà trùm Oanh "Hà" cầm đầu, Nguyễn Văn Nam có mặt hầu hết ở các chuyến hàng, nhận công hậu hĩnh.

Bất cập tiền công đức 2 đền ở Ninh Bình do nguồn thu quá lớn

NGUYỄN TRƯỜNG |

Ninh Bình - Những tồn tại, bất cập trong việc quản lý tiền công đức tại đền Dâu và đền Quán Cháo (thành phố Tam Điệp) là do nguồn thu quá lớn.

Chánh văn phòng hãng luật bị tố đe dọa, xúc phạm phụ nữ

TRÍ MINH |

Một chánh văn phòng hãng luật bị tố cáo có hành vi đe dọa, xúc phạm danh dự, nhân phẩm phụ nữ. Người dân đã trình báo sự việc tới cơ quan công an.

Xe bồn cháy dữ dội khi tiếp nhiên liệu ở cửa hàng xăng dầu, 1 người bị thương

NHẬT HỒ |

Bạc Liêu - Xe bồn cháy dữ dội, hư hỏng nặng, sau đó lửa lan sang khu vực gần nhà kho của cửa hàng xăng dầu.

Miền Bắc tiếp tục mưa to, có nơi trên 80mm

AN AN |

Cơ quan khí tượng cho biết, hôm nay (26.6), miền Bắc vẫn tiếp tục mưa rào và dông, cục bộ có mưa to; cần đề phòng lũ trên các sông.

Mưa to ở miền Bắc sắp kết thúc, thời điểm nào nắng nóng gay gắt quay lại?

NHÓM PV |

Đại diện cơ quan khí tượng đã đưa ra nhận định nguyên nhân đợt mưa lớn những ngày gần đây ở khu vực phía bắc.

Dự báo diễn biến mưa bão từ nay đến tháng 7

AN AN |

Cơ quan khí tượng đặc biệt lưu ý diễn biến mưa diện rộng và sự xuất hiện của bão trong giai đoạn một tháng tới.