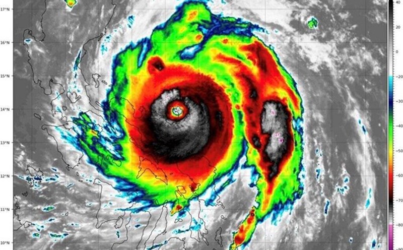
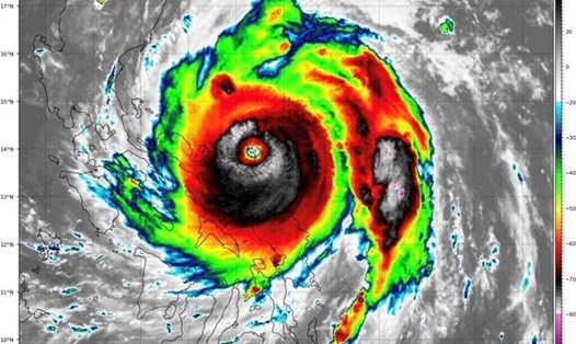
Latest update from the National Center for Hydro-Meteorological Forecasting, at 7:00 a.m. on November 18, the center of the storm was located at about 18.2 degrees north latitude; 118.3 degrees east longitude, in the eastern sea of the North East Sea. The strongest wind near the center of the storm is level 11 (103-117 km/h), gusting to level 14. The storm is moving west-northwest at a speed of about 20 km/h.

It is forecasted that in the next 24 hours, storm No. 9 will move west-northwest at a speed of 15 - 20km/h, continuing to weaken. At 7:00 a.m. on November 19, the center of the storm will be at about 19 degrees north latitude - 114.2 degrees east longitude; in the North East Sea; about 330km northeast of Hoang Sa archipelago.
The strongest wind near the storm center is level 10, gusting to level 12. The storm's dangerous area is at latitude 17 - 21 degrees north; east of longitude 112.5 degrees east.
It is forecasted that in the next 48 hours, storm No. 9 will move west-southwest at a speed of 15km/h, continuing to weaken. At 7:00 a.m. on November 20, the center of the storm will be at approximately 18.2 degrees north latitude - 111 degrees east longitude; west of the North East Sea; approximately 210km northwest of Hoang Sa archipelago.
The strongest wind near the storm center is level 8, gusting to level 10. The storm's dangerous area is at latitude 17 - 21 degrees north; longitude 109.5 - 116 degrees east.
It is forecasted that in the next 72 hours, storm No. 9 will move southwest at a speed of 10km/h, gradually weakening into a tropical depression, then a low pressure area. At 7:00 a.m. on November 21, the center of the tropical depression will be at about 17 degrees north latitude - 109.7 degrees east longitude; in the sea off the Central Central region.
Regarding the impact of storm No. 9, the eastern sea area of the North East Sea has strong winds of level 8-9, the area near the storm's eye has winds of level 10-11, gusts of level 14, waves 3-5m high, the area near the storm's eye has waves of 5-7m; the sea is very rough.
Ships operating in the above mentioned dangerous areas are likely to be affected by storms, whirlwinds, strong winds and large waves.
 
  
  
  
  
  
  
  
  
  
 