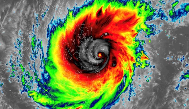
Before the new storm, the East Sea weather is dangerous

AN AN |

Before the new storm formed, the meteorological agency continuously issued warnings of thunderstorms and strong winds in the East Sea due to cold air.

According to the National Center for Hydro-Meteorological Forecasting, currently, the northeastern sea area of ​​the North East Sea has strong northeast winds of level 6, sometimes level 7.

The western sea area of ​​the North East Sea (including the Hoang Sa archipelago), the central and southern East Sea area (including the Truong Sa archipelago), the sea area from Quang Tri to Quang Ngai, Binh Thuan to Ca Mau, Ca Mau to Kien Giang and the Gulf of Thailand have scattered showers and thunderstorms.

On the night of October 20 and October 21, the North East Sea (including the waters of the Hoang Sa archipelago) had strong winds of level 6, sometimes level 7 in the east, gusting to level 8 - 9. The sea was rough, with waves 3 - 5m high.

The western sea area of ​​the North East Sea (including the Hoang Sa archipelago), the central and southern East Sea area (including the Truong Sa archipelago), the southern area of ​​the Gulf of Tonkin, the sea area from Quang Tri to Quang Ngai, Binh Thuan to Ca Mau, Ca Mau to Kien Giang and the Gulf of Thailand will have scattered showers and thunderstorms. During thunderstorms, there is a possibility of tornadoes and strong gusts of wind of level 7 - 8.

Around October 21-22, a tropical convergence zone will form in the central part of the East Sea. Tropical cyclones may form in this tropical convergence zone. From October 23-25, there is a possibility of tropical depression or storm activity in the East Sea.

On the night of October 21 and October 22, the North East Sea area (including the waters of Hoang Sa archipelago) will have strong northeast winds of level 6, gusting to level 7-8, rough seas; waves 2-4m high.

The risk level for natural disasters due to strong winds at sea is level 2. All vessels operating in the above areas are at high risk of being affected by tornadoes, strong winds and large waves.

AN AN
RELATED NEWS

Forecast of new storm appearance in the East Sea

|

The meteorological agency said there is a possibility of a tropical depression or storm appearing in the East Sea.

Forecast of upcoming storm and cold air in the East Sea

|

The meteorological agency forecasts that next week, there is a possibility of tropical depression or storm activity in the East Sea.

Forecast of how many storms and landfall areas

|

In the last months of 2024, storms/tropical depressions making landfall are likely to be concentrated in the Central region and southern provinces.

Ministry of Public Security guides the function of National Assembly election on VNeID

|

The Ministry of Public Security guides citizens to use the National Assembly election function on VNeID to monitor polling areas and candidate lists.

Mr. Trump declares he is not interested in Iran negotiations

|

Mr. Trump's statement shows a tough stance amidst the sharp escalation of the Middle East war.

Leaders of the Vietnam General Confederation of Labor attend the Women Workers' Day in Da Nang

|

Da Nang - Leaders of the Vietnam General Confederation of Labour attend and congratulate the Women Workers' Day, spreading good deeds from the Trade Union movement.

Can Gio - Vung Tau sea-crossing road expected to start construction in the second quarter of 2026

|

Ho Chi Minh City - Can Gio - Vung Tau sea-crossing road is about 14 km long, with a total capital of more than 92,600 billion VND, expected to start construction in the second quarter of 2026 and be completed in the second quarter of 2029.

Confessions of female environmental workers on March 8th

|

Hanoi - For female environmental workers, the simple joy on the 8th is sometimes just the moment of seeing the street clean after a long shift.

Forecast of new storm appearance in the East Sea

NHÓM PV |

The meteorological agency said there is a possibility of a tropical depression or storm appearing in the East Sea.

Forecast of upcoming storm and cold air in the East Sea

AN AN |

The meteorological agency forecasts that next week, there is a possibility of tropical depression or storm activity in the East Sea.

Forecast of how many storms and landfall areas

NHÓM PV |

In the last months of 2024, storms/tropical depressions making landfall are likely to be concentrated in the Central region and southern provinces.