World

Russia tightens fertilizer exports in the middle of the sowing season

|

Russia is temporarily suspending the export of ammonium nitrate, making global fertilizer supply already strained due to conflict even more difficult.

World 24h: New COVID-19 strain is spreading across the US

|

World news 25. 3: China tests missile launchers at an unimaginable depth of 200m; New COVID-19 strain is spreading throughout the US...

Ukraine locked gas valve by Hungary, forced to reopen Russian oil

|

Hungary suspends gas supplies to Ukraine until Kiev resumes Russian oil transit.

Drone stray causes power plant incident in Estonia

|

Many drones intruded into the airspace of Estonia and Latvia on the morning of March 25.

South Korea prepares a series of scenarios to cope with energy price fluctuations

|

South Korea strengthens emergency response as Middle East oil supplies disrupted, energy prices escalate and economic risks

Close-up of Russia destroying Ukrainian armor in Kursk

|

Video shows a US-made Ukrainian armored vehicle being destroyed by a drone as it moved along a road in the Russian border area.

Tiger with wings

|

There are still a few seats in the US legislature that have not been determined to belong to the Republican or Democratic Party, but the Republican Party currently has a majority in both the House of Representatives and the Senate in the election on November 5.

World 24h: Forecast of when Man-yi will become a super typhoon heading towards the East Sea

|

International news 11/15: Billionaire Elon Musk secretly met with Iranian diplomat; Typhoon Man-yi forecast to rapidly become a super typhoon heading towards the East Sea...

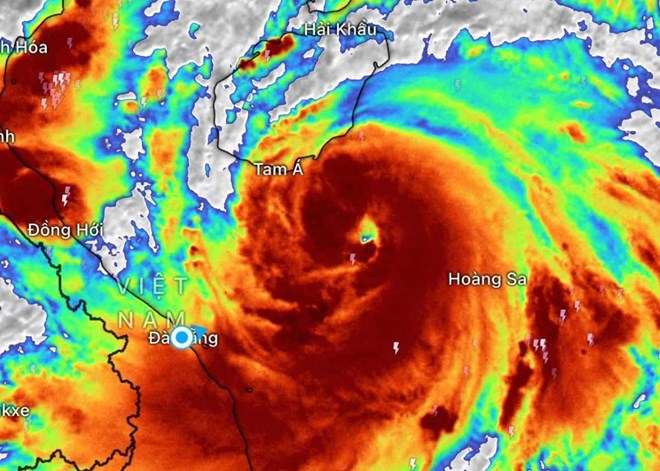
Typhoon Man-yi is reaching its maximum level, it is difficult to predict the landfall point

|

Typhoon Man-yi - a potential storm No. 9 in the East Sea - is rapidly intensifying and the possibility of becoming a super typhoon cannot be ruled out.

Israel expands airstrikes in Lebanon and Syria

|

An Israeli airstrike on a civil defense center in the city of Baalbek (Lebanon) on November 14 killed at least 12 rescue workers.

Forecast of the new storm Sara's wide area of impact

|

The latest storm, Sara, formed on November 14 in the Caribbean Sea and made landfall in Honduras.

Billionaire Elon Musk secretly met with Iranian diplomat

|

The meeting between billionaire Elon Musk and Iranian special envoy Amir Saeid Iravani was held at a secret location in New York and lasted more than 1 hour.

Proposing Peru to facilitate Vietnam's oil and gas projects

|

President Luong Cuong asked Peru to create favorable conditions in the process of completing procedures for transferring projects in the oil and gas sector of Vietnam.

Typhoon Man-yi is forecast to quickly become a super typhoon heading towards the East Sea

|

Typhoon Man-yi - a storm near the East Sea - is forecast to strengthen very quickly into the second super typhoon in a week to hit the Philippines.

IAEA chief arrives in Tehran to discuss Iran's nuclear program

|

International Atomic Energy Agency (IAEA) chief Rafael Grossi visited Tehran on November 13 to attend key talks on Iran's nuclear program and had his first meeting with Iranian President Masoud Pezeshkian since he took office in July this year.

World 24h: Forecast of the direction of the super typhoon near the East Sea

|

Latest world news 11/14: Forecast of developments and landing areas of super typhoon near East Sea; Mr. Trump's new personnel nomination causes shock...

Forecast of the severity of the latest storm in the 2024 storm season

|

The latest storm of the 2024 hurricane season could hit Florida, USA in the middle of next week as a Category 3 or even Category 4 hurricane.

Trump's new personnel nomination is shocking

|

Many senior US military commanders expressed dissatisfaction and concern when Mr. Trump nominated a new Secretary of Defense.

Forecast of the development and landing area of the super typhoon near the East Sea

|

The super typhoon near the East Sea Usagi is maintaining its intensity as it prepares to make landfall this afternoon (November 14).

Suicide bombing in Brazil just before G20 summit

|

A suicide bombing outside Brazil's Supreme Court on the evening of November 13 has raised security concerns as the country prepares to welcome G20 leaders.