World
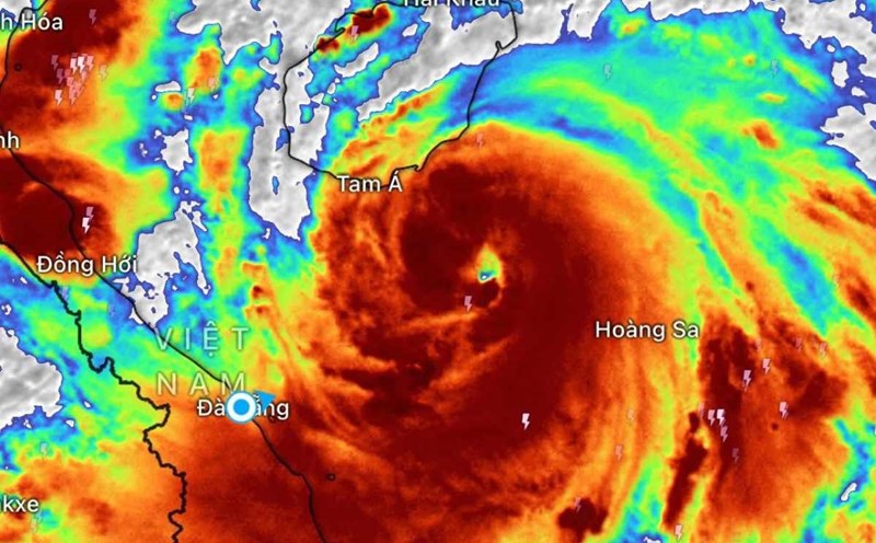
World 24h: Forecast of the possibility of a low pressure near the East Sea strengthening into a super typhoon
|
International news 10/31: Mystery of the fire at an important Russian refinery in Europe; Forecast of the possibility of a low pressure area strengthening into a super typhoon near the East Sea...
The assets of scammer Chen Zhi in Singapore were confiscated
|
The assets of Prince Group and scammer Chen Zhi in Singapore include 6 real estates, bank accounts, securities accounts and cash.
Pheu Thai Party elects new leader to replace Ms. Paetongtarn
|
Pheu Thai - one of Thailand's largest political parties - elected a new leader on October 31 to replace Ms. Paetongtarn Shinawatra.
The Trump - Putin summit was officially canceled
|
The decision to cancel the summit between President Donald Trump and President Vladimir Putin was made after a phone call between the foreign ministers of the two countries.
US Senate passes resolution to end Trump's global tariffs
|
The US Senate has voted to pass President Donald Trump's resolution to end global tariffs.
EU pillar turns its back on the plan to send troops to Ukraine
|
Although it has just been revived after many "dead" months, Europe's plan to send troops to Ukraine has not received much support.
Storm Fernand forecast to strengthen into a hurricane today
|
Fernand has formed in the Atlantic, southeast of Bermuda, since August 23.
Forecast of the most affected area of the low pressure right after storm No. 5 Kajiki
|
A new low pressure has emerged right after storm No. 5 Kajiki in the East Sea - which was gusting to level 17 on the morning of August 25.
World 24h: Germany must pay a heavy price if it stops Nord Stream 2
|
Latest world news 24.8: Germany no longer has a place to use Nord Stream 2, accepts expensive prices; New storm forecast right after storm No. 5 in the East Sea...
Storm No. 5 Kajiki rapidly intensifies, the eye of the storm is getting sharper
|
According to the latest storm news from Japan, storm No. 5 Kajiki has gusts of level 17, up from level 16 from the Vietnam National Center for Hydro-Meteorological Forecasting.
US passenger plane suddenly landed due to fire in the cabin
|
On August 23, an American Airlines passenger plane suddenly landed due to an incident in the air hold.
Germany in a difficult position as Ukrainian suspect of Nord Stream sabotage falls into the net
|
The case of a Ukrainian Nord Stream sabotage suspect arrested under a German wanted notice has put Berlin in an unprecedented predicament for Kiev.
Following the Russian Tsentr army to attack the Ukrainian stronghold in Donetsk
|
In a tense military campaign, the Russian Tsentr group took control of the Pankovka settlement in Donetsk.
A series of online scams in Cambodia were busted, victims received their money back
|
A series of victims of Cambodian online scams have been refunded money by Thai authorities in a short time, instead of being lost all that they had before.
Norway to provide patriot air defense systems to Ukraine
|
Norway and Germany are coordinating to support Ukraine with a large value of air defense aid package.
China's tourist city closed due to the risk of typhoon Kajiki
|
Typhoon Kajiki approaching Hainan Island (China), the government of Tam A city applied emergency measures to minimize damage.
Plan to send troops to Ukraine fuels diplomatic conflict in Europe
|
diplomatic relations between France and Italy are said to be becoming tense due to plans to send troops to Ukraine when the conflict ends.
Highest alert for storm No. 5 Kajiki, gusting to level 16, about to make landfall for the first time
|
Typhoon No. 5 Kajiki is forecast to make landfall or pass near the coast of Hainan (China) on the evening of August 24 before heading towards the coastal areas of Central and Northern Vietnam.
Germany may soon restore military service regime
|
The military recruitment crisis, global instability and internal controversy are forcing Germany to consider returning to military service.
Mr. Trump wants to reuse nuclear materials from the cold war
|
Trump has a controversial plan to turn plutonium from old nuclear weapons into fuel for reactors.
 
  
  
  
  
  
  
  
  
  
  
  
  
  
  
  
  
  
  
  
  
 