Environment

Can Tho continuously breaks flooding record in less than a decade

|

Can Tho - From 2018 to now, Can Tho has recorded record high tides 4 times. In 2025, the highest water peak will reach 2.35m, showing increasingly deep and unusual flooding.

Da Nang spends thousands of billions of VND, but people still suffer from the smell of sewers

|

Da Nang - Despite investing more than VND3,400 billion in coastal wastewater collection and treatment projects, people and tourists still have to endure the stench from the discharge gates.

Weather today 19.12: Some places in the South have thunderstorms in the late afternoon

|

Weather today 19.12, the North has rain in some places, fog in the early morning, sunny in the afternoon. The South has showers and thunderstorms in some places in the evening and at night, sunny during the day.

Weather forecast for the next 10 days from December 19 to December 28 in all three regions

|

The National Center for Hydro-Meteorological Forecasting forecasts the weather for the next 10 days (from the night of December 18 to December 28) in areas across the country.

Weather forecast for tomorrow, December 19th nationwide

|

Weather forecast for tomorrow, December 19, Hanoi will have scattered light fog in the early morning, sunny days. Ho Chi Minh City is sunny during the day, no rain at night.

Weather today 11/18: Cold air affects the North

|

Today's weather, November 18, cold air affects the Northeast and Thanh Hoa, causing rain in some places and a decrease in temperature.

Many ways of flood prevention of Ho Chi Minh City residents in "flood season"

|

HCMC - When there is heavy rain or high tide, many households in flooded areas lose sleep and struggle to find ways to prevent flooding.

Weather forecast for the next 10 days from November 18 to November 27 in all three regions

|

The National Center for Hydro-Meteorological Forecasting forecasts the weather for the next 10 days (from the night of November 18 to November 27) in regions across the country.

Weather forecast tonight and tomorrow 11/18

|

Weather forecast for tonight and tomorrow, November 18: Storm MAN-YI moves northwest at a speed of about 25km/h, enters the East Sea and gradually weakens.

Weather forecast for tomorrow, November 18, nationwide

|

Weather forecast for tomorrow, November 18, due to the impact of cold air, Hanoi will have rain in some places. Night and early morning will be chilly with the lowest temperature around 21-23 degrees Celsius.

Cold air combined with super typhoon Man-yi causes extremely bad weather

|

Due to the impact of cold air and super typhoon Man-yi, the North East Sea area will record very bad weather in the coming days.

Where is the storm forecast to make landfall in late 2024?

|

According to a representative of the meteorological agency, storms in the final stages of the year and making landfall are likely to concentrate in the Central region and southern provinces.

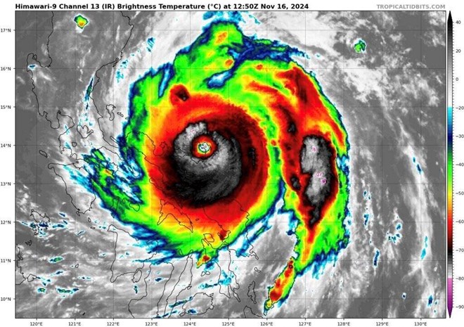
Latest storm news: Man-yi gusts above level 17 approaching the East Sea

|

Latest storm news: The meteorological agency said that the time for super typhoon Man-yi to enter the East Sea is approaching.

Busy people in Ha Long

|

Quang Ninh–Despite being teased for being “busybodyers,” members of the Ha Long Trash Eradication Warriors Club are still enthusiastic about cleaning the beach every Sunday morning.

Forecast of rain, beginning of deep cooling period in the South

|

According to the Southern Hydrometeorological Station, around November 20, cold air and rain will affect Ho Chi Minh City and neighboring provinces and cities.

Cold air is coming, forecast lowest temperature in the North

|

The Meteorological Agency forecasts that cold air will affect the North from November 18. From November 20, temperatures will tend to drop further.

Super Typhoon Man-yi is extremely strong, what will happen next

|

Super typhoon Man-yi remains very strong and is forecast to continue moving northwest and enter the East Sea in the next 24 hours.

Weather forecast for next week from 18.11 - 24.11

|

Weather forecast from November 18 to November 24: From November 18, the Northern and Central Central regions will have rain in some places, and the weather will turn cold at night and early morning.

Cold air is about to cause heavy rain in which area?

|

The meteorological agency forecasts that due to the impact of cold air, from November 18, the North and Central Central regions will have localized heavy rain.

Forecast of the coldest air period of winter 2024

|

Representatives of the meteorological agency have commented on the time when cold air is most active and there are the most cold spells in winter.