Super typhoon Melissa is set to sweep across an island nation of 3 million people, causing record rain

Thanh Hà |

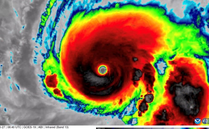
Superstorm Melissa is about 240km southwest of Kingston, Jamaica with peak winds of 280km/h.

Superstorm Melissa is the strongest storm on Earth since the beginning of the year and one of the strongest storms ever recorded in the Atlantic.

According to the latest hurricane report from the US National Hurricane Center, satellite imagery shows the structure of a typical major hurricane, with round, sharp eyelids and dense tornado bands tightly wrapped around the eye. Forecasters warn that Melissa's slow movement means it will sweep Jamaica for more hours.

The US National Hurricane Center pointed out that Shelter moving slowly over the unusually warm Caribbean sea contributed to the increase in the size and intensity of the storm, threatening Jamaica with unprecedented strong winds for many days and up to 900mm of rain.

Forecasters note that the wind zone of Shelter is currently larger than the length of Jamaica, an island nearly the size of the US state of Connecticut.

Over the past few hours, Melissa has gradually turned north and is expected to make landfall in western Jamaica on the morning of October 28. After sweeping across the island nation of 3 million people Jamaica, feedback will make a second landfall in Cuba from the night of October 28 to the early morning of October 29. Because mem mem memories move very slowly, strong winds, heavy rain and high tides will last much longer.

Hurricane Melissa has strengthened into the strongest storm on Earth since the beginning of the year, and is one of the strongest storms on record in the Atlantic, driven by unusually hot ocean temperatures in the Caribbean.

Shelter went through two rapid intensification phases, with maximum sustained winds increasing from 112 km/h on the morning of October 25 to 225 km/h within the next 24 hours. Then, from the afternoon of October 26 to October 27, the storm's strongest winds will skyrocket, from 225 km/h to 280 km/h.

According to the Climate Central research team, ocean temperatures near the path of Melissa are about 1.4 degrees Celsius above the average for the time of year.

The research team found that along the entire path of Shelter up to now, there is a probability of unusually high sea surface temperatures, which is an important factor in the storm's strengthening, increasing at least 500-800 times due to the impact of climate change.

Research also shows that climate change is causing storms to produce larger amounts of rain than in previous decades because warmer air retains more moisture.

"Tens of thousands of families are facing strong gusts of wind over 160 km/h and many days of unceasing rain. Large storms that move slowly are often the deadliest and deadliest. This is a catastrophic situation that is happening slowly," AccuWeather forecaster Jonathan Porter warned of.

Thanh Hà
RELATED NEWS

Melissa becomes the strongest super typhoon on the planet in 2025, making landfall this morning

|

Melissa - the strongest super typhoon on the planet this year - underwent a rapid intensification process, with winds of up to 280 km/h. This Category 5 super typhoon is continuing to strengthen.

Storm Melissa reaches maximum level

|

Shelter has strengthened into a Category 5 hurricane, a super typhoon, as it approaches Jamaica, preparing for a historic landfall that is expected to be devastating.

Storm Melissa is approaching maximum intensity, preparing to make landfall for the first time

|

Hurricane Melissa is in the process of rapid intensification ahead of its historic landfall in Jamaica.

D'ran Pass connecting Da Lat with Phan Rang is seriously eroded and cracked

|

Lam Dong - Prolonged heavy rain caused landslides from the positive slope down to D'ran Pass, causing cracks in the roadbed, obstructing traffic.

The Vietnam General Confederation of Labor works with the German Social Democratic Party Delegation

|

Hanoi - On the afternoon of October 28, the Vietnam General Confederation of Labor worked with the German Social Democratic Party Delegation. The issue of concern to both sides is dialogue and negotiation.

Phu Tho has a new Chairman of the Provincial People's Council

|

Phu Tho - Mr. Bui Duc Hinh has just been elected to hold the position of Chairman of the People's Council of Phu Tho province, term XIX, 2021 - 2026.

Gold prices plummet, reaching a three-week low

|

Gold prices fell to a three-week low as expectations of a US-China trade deal reduced safe-haven demand.

Floodwaters surround Hue City, tourists get on boats to flee the flood

|

HUE - Many tourists coming to Hue during the historic flood had to rent boats, carry their luggage and seek shelter.

Melissa becomes the strongest super typhoon on the planet in 2025, making landfall this morning

Thanh Hà |

Melissa - the strongest super typhoon on the planet this year - underwent a rapid intensification process, with winds of up to 280 km/h. This Category 5 super typhoon is continuing to strengthen.

Storm Melissa reaches maximum level

Thanh Hà |

Shelter has strengthened into a Category 5 hurricane, a super typhoon, as it approaches Jamaica, preparing for a historic landfall that is expected to be devastating.

Storm Melissa is approaching maximum intensity, preparing to make landfall for the first time

Thanh Hà |

Hurricane Melissa is in the process of rapid intensification ahead of its historic landfall in Jamaica.