Atlantic Hurricane Season

La Nina recedes, super El Nino may stir up unpredictable storm season 2026

|

La Nina is weakening, the risk of super El Nino appearing is increasing rapidly, which could disrupt the storm season 2026 in an unpredictable way.

The first super typhoon of 2026 rises, threatening the nearest mainland

|

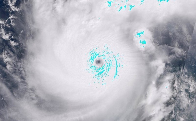
Super typhoon Horacio is the first storm in the world in 2026 to reach Category 5 intensity, threatening Rodrigues Island, Republic of Mauritius.

The first Category 5 super typhoon of 2026 has appeared

|

Super typhoon Horacio is the first Category 5 storm on Earth in 2026.

Super strong El Nino is expected to reappear right in the 2026 storm season

|

Meteorologists warn of the return of El Nino, even at a super strong level in the 2026 storm season.

New low pressure appears, storm Melissa forecast to form

|

Low pressure 98L formed in the Atlantic as forecasters awaited the arrival of Shelter.

Strange hybrid storm forms in Atlantic, forecasts flooding risk

|

A strong storm is forming off the Atlantic, forecast to make landfall this weekend, causing heavy rain and a risk of severe flooding.

Storm Gabrielle, second strongest storm of the season, is about to become a super typhoon

|

Storm Gabrielle with winds of 220 km/h has become one of the strongest storms of the 2025 hurricane season.

Hurricane Dexter Forecast opens the period of intense storms

|

The arrival of Dexter is expected to mark a more vibrant period of the 2025 hurricane season with many hurricanes.

Forecast of the time frame for storm No. 1 in 2025 to appear

|

The May hurricane has appeared 11 times in the Atlantic since 2003. This year, unseasonal storms are forecast to form between May 15 and 22.

Forecast of when storm No. 1 will appear in this year's storm season

|

The first storm of the 2025 Atlantic hurricane season could form before June.

The 2025 storm season is forecast to be unusually fierce

|

Current conditions are ripe for unusually strong storms during the 2025 Atlantic hurricane season.

Forecast of early season storms appearing before the official start of the season

|

USA Today's latest hurricane report says the first storm of the season is likely to appear in May, before the start of the Atlantic hurricane season.

Latest forecast warns of strong storm season, risk of exceeding the average

|

The latest storm forecast for the 2025 Atlantic hurricane season predicts 12 to 15 storms this year.

Forecast of the most affected areas in the 2025 storm season

|

Atlantic hurricanes are expected to be intense this year, with some states at risk of being hit hardest.

Storm forecast for 2025, early warning of severe storm season

|

One factor that makes this year's storm forecast especially unpredictable is the uncertainty over El Nino and La Nina.