Rare interaction in the fastest-increasing storm in history

Thanh Hà |

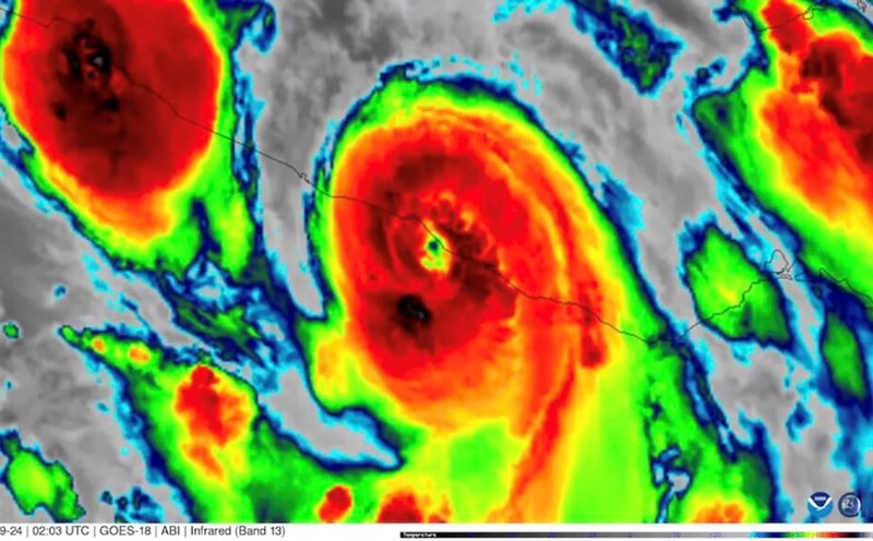
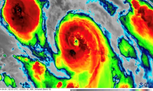
Hurricane forecasters say Helene is expected to experience Fujiwhara interaction ( two closely approaching and attracting each other) with a low pressure in the central and southern United States.

Hurricane Helene is expected to make landfall in the US on September 26 as a Category 4 storm with winds of up to 210 km/h, according to the latest storm news from USA Today.

Hurricane Helene is expected to be one of the most "intensive" and rapidly intensifying storms in history. Helene's rapid intensification from a tropical depression with the potential to strengthen into a Category 3 tropical storm on September 24 is an unprecedentedly fast development for a system forecast by the US National Hurricane Center, according to USA Today.

"They have never forecast a major hurricane in 60 hours for a low-pressure system below tropical storm level. The entire forecast is essentially faster than any of the 36 to 48 hours for a tropical depression," said Sam Lillo, a meteorologist and software engineer at DTN Weather.

Helene is expected to bring heavy rain as it makes landfall in the US mainland due to the Fujiwhara effect, according to USA Today. The Fujiwhara effect - describing two nearby storms attracting each other - is considered the most delicate "dance" of meteorology.

Hurricane models show that as Helene moves through Florida into the southeastern United States, "the storm will experience Fujiwhara interaction with the trough over the Ozarks," the National Weather Service in Shreveport, Louisiana, said.

"This roughly means that the remnants of Helene after making landfall in the US will move near the trough in the Ozarks. The remnants of the storm will circulate around the trough before being absorbed by the trough to form a larger closed trough," the weather service said.

"This phenomenon is extremely rare at this latitude," noted KATV meteorologist James Bryant.

Forecasters say the Fujiwhara interaction between Helene and the Ozarks trough will produce heavy rain, with the potential for flooding in parts of the central and southern United States and Ohio over the next few days.

The Fujiwhara effect occurs when two storms move close enough together to form a fierce "dance" around a common center. Experts say the effect occurs when the storms are about 1,500km apart.

The phenomenon of the double storm was first confirmed by Japanese meteorologist Sakuhei Fujiwhara after observing two interactive storms in the Pacific Ocean in 2021.

The Fujiwhara effect could make forecasting more difficult. Normally, in weather forecasts, predicting the location of a storm making landfall is difficult. However, Fujiwhara interaction may make this process more difficult.

The problem is how strong the storm area or secondary depression will be. If the depression strengthens, it will push Helene closer to the narrow strip of land in Florida.

If the depression weakens, Helene could have more impacts across Florida's Big Bend. Forecasters will see these details clearer in the next 24-36 hours.

Thanh Hà
RELATED NEWS

Monster storm Helene forecast to surge to Category 4 today

|

Hurricane Helene is forecast to reach Category 4 intensity when it makes landfall in Florida, USA today (September 26).

Forecast of the fastest storm in history

|

The forecast for Helene to transition from a depression to a Category 3 storm appears to be the fastest prediction ever given by the NHC for a depression.

The point where Hurricane John rapidly intensified was very dangerous

|

Hurricane John dissipated as quickly as it formed, but the storm's devastation in southern Mexico is expected to last for days.

Storm No. 9 Helene Forms, Forecast to Increase Today

|

Hurricane No. 9 Helene in the Atlantic hurricane season formed on September 24.

Landslide leaves 3 people missing, Da Nang leaders directly direct the scene

|

Da Nang sends more dogs to rescue missing people, the Vice Chairman of the city requires ensuring "absolutely safe".

IVS teachers' journey to change the control of individual students, addicted to games, depression to find themselves

|

At IVS Boarding School, many students who have experienced games and become lost have changed thanks to the patience and support of teachers to help them find their way back.

Live football U22 Vietnam vs U22 Uzbekistan at Panda Cup 2025

|

Live football U22 Vietnam and U22 Uzbekistan at Panda Cup 2025, taking place at 2:30 p.m. today (November 15).

The Korea Tourism Administration to Phu Quoc thanks the fruit shop owner for helping tourists find their mother

|

An Giang - The Korea Tourism Administration in Vietnam visited the home of a fruit shop owner in Phu Quoc to express gratitude for helping Korean tourists.

Monster storm Helene forecast to surge to Category 4 today

Thanh Hà |

Hurricane Helene is forecast to reach Category 4 intensity when it makes landfall in Florida, USA today (September 26).

Forecast of the fastest storm in history

Song Minh |

The forecast for Helene to transition from a depression to a Category 3 storm appears to be the fastest prediction ever given by the NHC for a depression.

The point where Hurricane John rapidly intensified was very dangerous

Thanh Hà |

Hurricane John dissipated as quickly as it formed, but the storm's devastation in southern Mexico is expected to last for days.

Storm No. 9 Helene Forms, Forecast to Increase Today

Thanh Hà |

Hurricane No. 9 Helene in the Atlantic hurricane season formed on September 24.