Society

People excitedly switch from gasoline cars to electric cars at Green Transformation Day 2026

|

Hanoi - A large number of people came to the 2026 Green Transformation Day event at Cau Giay Park to learn about and participate in the gasoline car to electric car exchange program.

Overloaded landfill, many residential areas in Lam Dong are surrounded by garbage

|

Lam Dong - Overloaded landfill, prolonged accumulation of waste causes pollution in many residential areas in Bao Lam 1 commune, seriously affecting daily life.

Launching ceremony of Green Transformation Day 2026

|

The Green Transformation Day 2026 event is organized by Lao Dong Newspaper in coordination with the Ministry of Agriculture and Environment, Hanoi City People's Committee on May 16 at Cau Giay Park (Hanoi). The event has many activities such as electric car experience, "gasoline to electricity exchange" and art programs to change community awareness about green transformation.

Perspective on responsibility and family pressure from the case of an old man being left in a pagoda

|

From the case of an old man being taken to a pagoda with a letter asking for care, the story of the pressure to take care of elderly parents is once again raised.

Overview of the hundreds of billions of VND road running parallel to National Highway 10 in Ninh Binh

|

Ninh Binh - The road worth more than 363 billion VND running parallel to National Highway 10 is gradually being completed after a period of accelerating construction.

Hot Saigon: About to exempt a license to build individual houses in Thu Duc City

|

Hot Saigon News on September 23: About to exempt a license to build individual houses in Thu Duc City; After 1 week of trial operation of the 2-level government model in Ho Chi Minh City;...

What is the punishment for subjects who illegally dump drugs and dietary supplements into the environment

|

Lawyers believe that the act of illegally dumping drugs, dietary supplements, etc. into the environment not only violates environmental protection regulations but also poses a potential risk to public health.

Super license plate 51L-888.88 nearly reached 6 billion VND in the auction on June 23

|

License plate auction: Vietnam Joint Stock Auction Company successfully auctioned beautiful car license plates on June 23.

Forecast of the heaviest rainy month in the South

|

According to the Head of the Weather Forecast Department of the meteorological agency, the rainy season in the South will last continuously from now until the end of September or early October.

Current status of the more than 50-year-old iron bridge in Ho Chi Minh City is degraded, about to be rebuilt with nearly 500 billion VND

|

Ho Chi Minh City - Rach Tom Bridge (Nha Be District) was built before 1975 and is now degraded and about to be rebuilt with an investment capital of nearly 500 billion VND.

Many new points on granting red books are more convenient for people from 1.7.2025

|

According to the lawyer, from July 1, 2025, there will be many changes in the authority and procedures for granting red books in the direction of simplification, shortening the processing time.

Top foods rich in fiber to effectively reduce stress

|

Adding the fiber-rich foods below will help improve mental health and effectively reduce stress.

From July 1, 2025, husbands pay voluntary social insurance, housewives also receive maternity benefits

|

The Social Insurance Law 2024, effective from July 1, 2025, stipulates that husbands pay voluntary social insurance, housewives are also entitled to maternity benefits.

The important thing for 12th graders not to be ignored during this period

|

In just a few days, the 2025 high school graduation exam will officially take place - an important milestone that will decide the university entrance for many 12th graders.

When border guards speak the language of the Khmer people

|

Soc Trang - Border guards learn Khmer to get closer to the people, using the language as a bridge to effectively propagate and mobilize in the border community.

Market in Quang Tri is abandoned after being built

|

Quang Tri - Hai Son market in Hai Lang district has been invested with 4 billion VND, completed for 2 years but has not yet opened for operation, and is now starting to deteriorate.

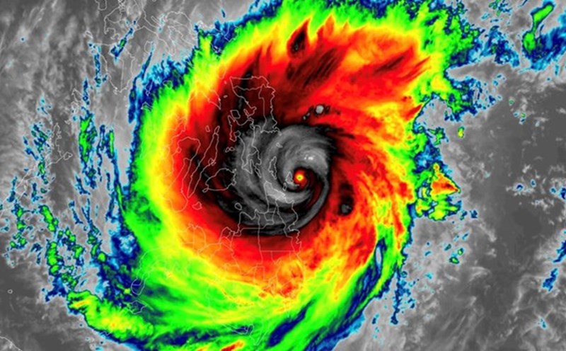
Forecast of storms, tropical depressions and upcoming heavy rain trends

|

The meteorological agency has updated information on forecasting storm trends from now until July 20.

Unexpected benefits of sea urchin fabric for people with high uric acid

|

fabric contains compounds that help reduce uric acid and support detoxification of the kidneys. Eating in moderation, khmer can be good for gout patients.

Super license plate 51L-888.88 will be auctioned on June 23

|

License plate auction: On June 23, Vietnam Joint Stock Auction Company will auction 8,000 beautiful car license plates in 5 time frames.

7-day walking plan helps control spikes in blood sugar

|

If you often experience hyperglycemia, refer to the 7-day walking plan below to help stabilize blood sugar naturally.