On October 8, the Japan Meteorological Agency (JMA) issued an emergency warning as Typhoon Ha Long (Storm No. 22 in Japan) approached the south of the country with strong winds that could destroy homes. The Izu Islands will be the most directly affected area on the morning of October 9.
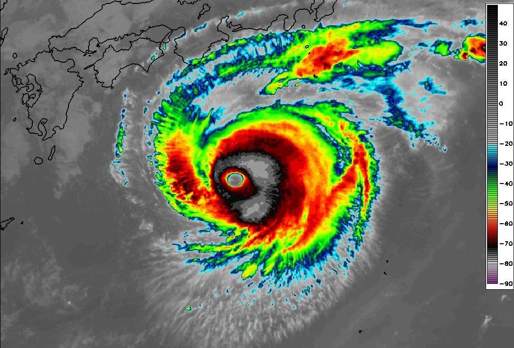
According to the latest storm news from JMA, the strongest wind near the center of Ha Long is 180 km/h, gusting up to 250 km/h - super typhoon level, enough to knock down large trees, blow up roofs and destroy weak structures.
The JMA forecasts that Ha Long will move north and then gradually turn northeast tonight and early tomorrow morning (October 9). At around 6-9am on October 9, the center of the storm is expected to pass about 60km east of Hachijojima Island - when the strongest winds will sweep across the Izu Islands.
Since the afternoon of October 8, the southern Izu islands have begun to enter the storm's impact zone. Tonight, the entire area will be affected by winds of level 12-15, gusting to level 17.

The sea around the Izu archipelago is currently experiencing severe waves, with waves over 4m high, expected to increase to 9m tonight and tomorrow morning. Coastal areas from eastern Japan to the Kii Peninsula are also warned of 4-6m high waves with dangerous high tides.
Dense clouds around the eye of the storm are expected to cover the area on the night of October 8, causing heavy rain with gusts of over 80 mm/h. Total rainfall by the morning of October 9 could exceed 200mm, increasing the risk of flash floods, landslides and flooding in low-lying areas. The wind will remain extremely strong until October 10.
Although the center of the storm will move out of the Izu area on the afternoon of October 9, strong winds will continue until October 10 due to large circulation. After that, Typhoon Ha Long is forecast to weaken into a low pressure area as it moves rapidly into the Pacific Ocean.

The JMA recommends that people in Izu, Kanto and Tokai areas be especially vigilant, closely monitor updated weather forecasts and avoid going out during strong winds. Rescue forces and local authorities have been deployed in a state of readiness for emergency response.
Super typhoon Ha Long is one of the strongest storms approaching Japan in 2025, with a complete structure and extremely large energy. Meteorological experts warn that even if it does not make landfall directly, the impact of the storm could cause serious damage to coastal areas of Central and Eastern Japan.