World
The Trump - Putin summit was officially canceled
|
The decision to cancel the summit between President Donald Trump and President Vladimir Putin was made after a phone call between the foreign ministers of the two countries.
US Senate passes resolution to end Trump's global tariffs
|
The US Senate has voted to pass President Donald Trump's resolution to end global tariffs.
Low pressure causes heavy rain, flash floods turn New York into a river
|
The pouring rains caused by the depression caused flooding in many areas of New York (USA), killing at least 2 people in flooded basements.
Low pressure near the East Sea forecast to strengthen into super typhoon
|
The low pressure near the Philippines is likely to strengthen into a storm, even reaching super typhoon level next week.
Risk of nuclear explosion after Mr. Trump's new nuclear weapons testing order
|
The United Nations warned of the risk of nuclear explosions, after Trump ordered a restart to the nuclear weapons testing program after more than three decades.
EU plans to tighten Russian oil sources via Druzhba pipeline
|
The European Union (EU) is considering trade measures targeting Russia's Druzhba oil pipeline.
British aircraft take off after a series of UAVs suspected of violating Russian NATO airspace
|
The British government has dispatched two Typhoon fighters to patrol Polish airspace following a series of allegations that Russia allowed UAVs to violate NATO airspace.
Hamas releases photos of 48 hostages, psychologically attacks Israel
|
Hamas posted a photo of 48 Israeli hostages being held in Gaza, while Israel stepped up attacks deep into the city.
Mr. Trump decides to cut off Baltic support, Europe is worried about Russia's momentum
|
The plan to cut security support for the three Baltic states located near the Russian border from the Trump administration is worrying Europe.
Following Russian soldiers to seize a stronghold of the Ukrainian army
|
Soldiers of the Russian Vostok Force advanced deep into the opponent's front line and occupied Berezovoye in the Dnepropetrovsk region.
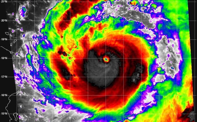
Super typhoon near the East Sea forms, forecast area of most severe impact
|
Potential storm No. 9 in the East Sea - storm Ragasa is rapidly intensifying - has strengthened into a super typhoon with a direction towards North Central Vietnam.
A series of EU countries are still tightly holding on to Russian gas despite pressure to cut
|
The EU confirmed that up to eight member states will continue to import Russian gas, while the bloc has repeatedly called for a reduction in dependence on Moscow.
Thailand asks Cambodians in the disputed area to leave
|
The authorities of Sa Kaeo province, Thailand issued a letter to the Cambodian people in the disputed area, asking them to leave before October 10.
Russia launches fierce attack on Ukraine with missiles and UAVs
|
2 people died and 32 injured in a large-scale attack by Russian missiles and drones on Ukrainian cities.
New step in Korea - Vietnam cooperation between Airbility and CT UAV
|
CT UAV Company of Vietnam has coordinated with Airbility to test the AB-U60 UAV at Boryeong airport, marking a step forward in regional aviation cooperation.
World 24h: New low pressure forecast to appear right after super typhoon Ragasa
|
World news 20.9: US imposes fee of 100,000 USD for H-1B visa, opens million-dollar immigration yellow card; New low pressure forecast to appear right after super typhoon Ragasa...
A series of European airports paralyzed due to cyber attacks
|
Cyber attacks disrupted the operations of many airports in Europe, including those in London, Brussels and Berlin.
Gazprom divests from Serbia's leading oil and gas company, retains only 1 stake
|
Gazprom sold all its direct shares in Serbia's oil and gas company NIS, holding only a symbolic stake.
Russia's surprising response to Trump's disappointing statement
|
The Kremlin believes that Mr. Trump's disappointing reaction to the Ukraine - Russia conflict comes from his desire to quickly resolve the war.
Hong Kong (China) evacuates 6,000 people due to bombs left over from World War II
|
Hong Kong (China) police had to evacuate 6,000 residents after discovering a large bomb left over from World War II.
 
  
  
  
  
  
  
  
  
  
  
  
  
  
  
  
  
  
  
  
 