Environment

Weather forecast for Christmas Eve 24, which areas will have rain due to cold air

|

According to the meteorological agency, the weather forecast for the North and North Central regions will have rain and cooling down during Christmas due to the impact of cold air.

Weather forecast for tomorrow, December 24 nationwide

|

Weather forecast for tomorrow, December 24, Hanoi will have fog in the early morning and sunny afternoons. Ho Chi Minh City will have sunny days, scattered showers and thunderstorms in the late afternoon.

Weather forecast for tonight and tomorrow, December 24

|

Latest weather forecast, December 24: On the night of December 24, cold air will affect the Northeast region, then affect the North Central, Northwest, Central Central regions.

Discovering a 6kg pangolin, a group of young men reported to the police

|

While playing, a group of young men in Bac Gia Nghia ward discovered a 6kg pangolin, arrested it and handed it over to the authorities to release it back to the natural forest.

Weather forecast for the next 3 days from December 24 to December 26 in all three regions

|

Weather forecast for the North and North Central regions will turn cold, mountainous areas will have severe cold from the night of December 24. The Central and South Central regions will have rain from December 25.

This evening, storm No. 13 made landfall with very strong winds, warning of dangerous areas

|

Representatives of the National Center for Hydro-Meteorological Forecasting have issued the latest warnings about the especially dangerous storm No. 13.

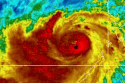
Storm No. 13 Kalmaegi is about to make landfall, with the heaviest rain and strongest winds from 5:00 p.m. this afternoon

|

According to the representative of the meteorological agency, the strongest wind time due to storm No. 13 Kalmaegi is from 5:00 p.m. on November 6 to 4:00 a.m. on November 7.

Forecast of the impact of storm No. 13 on the weather in the Southern region

|

HCMC - According to the Southern Hydrometeorological Station, HCMC and neighboring provinces and cities will have heavy rain even though it is not directly affected by storm No. 13.

Water levels of hydroelectric reservoirs in the North on November 6

|

Hydropower reservoirs in the North are flexibly operated according to flood developments, ensuring safety for downstream areas.

Gia Lai, where the center of storm No. 13 is forecast, races to evacuate people before the storm makes landfall

|

Gia Lai - Currently, storm Kalmaegi (storm No. 13.) is moving very quickly, heading straight to the mainland of Gia Lai province, with very strong gusts of wind.

Hue City mobilizes all resources to clean up streets after storms and floods

|

As the water recedes, Hue City has been mobilizing all its efforts to clean up streets and schools when the amount of garbage has increased many times; at the same time, the city has activated the response scenario for storm No. 13, on duty 24/24, ready to ensure the safety of people's lives and property.

Raising warning, storm No. 13 will cause level 4 natural disaster risks, Military Region 5 proactively helps people

|

It is forecasted that by 7:00 p.m. tonight (November 6), the center of storm No. 13 will be located in the coastal area of Quang Ngai - Dak Lak, maintaining the intensity of level 13 - 14, gusting to level 17.

Dak Lak requests to complete evacuation before 12:00 on November 6

|

Dak Lak - The Provincial People's Committee has just issued an official dispatch on focusing on implementing response plans to storm No. 13 and heavy rain and floods in the area.

Forecast of high tides today in Ho Chi Minh City will peak, some places will be 1.90 m high

|

HCMC - Today (November 6), the high tide in HCMC will peak and exceed the alarm level III.

Storm No. 13 Kalmaegi gusts to level 17 very quickly, forecasting the peak period of heavy rain and strong winds

|

The strongest wind time due to storm No. 13 Kalmaegi is from the evening of November 6 to the night of November 8; heavy rain is concentrated from the afternoon of November 6 to November 7.

After more than half a year of implementing waste classification at source, people still collect in one bag

|

Although regulations on waste classification at source have been issued, the implementation has not yet been synchronous.

Storm No. 13 is very strong, continuing to gust to level 17 in the next 12 hours before making landfall tonight

|

Storm No. 13 Kalmaegi is forecast to move rapidly, maintaining a very strong intensity of about level 14, gusting to level 17 in the next 12 hours. The storm began to cause strong winds from this evening, November 6.

Storm No. 13 Kalmaegi makes landfall tonight, forecasts the provinces with the strongest winds

|

The focus area of strongest winds due to storm No. 13 Kalmaegi from this evening, November 6, is the east of Quang Ngai - Gia Lai provinces.

Storm No. 13 Kalmaegi is extremely dangerous, very strong when it makes landfall on the night of November 6

|

Storm No. 13 Kalmaegi can cause dangerous combinations such as strong winds, big waves, heavy rain; risk of flash floods, landslides and flooding in the Central region.

Forecast of very heavy rain in the provinces due to storm No. 13 Kalmaegi and peak rain

|

Storm No. 13 Kalmaegi is assessed as particularly dangerous. With a wide circulation, the storm will cause heavy rain in many provinces and cities of our country.